조황관리HOME / 조황관리 / 상세정보

제목 : 2025.12.6 대구라바 조황..살아나네요~~
등록일 : 2025-12-06
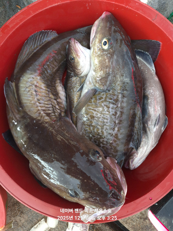
물이랑 바람이 안도와줘서 힘들었지만 사이즈가 좋아집니다 



20251206_130815.jpg


20251206_130938.jpg


20251206_131754.jpg


20251206_131922.jpg


20251206_152300.jpg


20251206_152400.jpg


20251206_152507.jpg


20251206_152510.jpg


20251206_152539.jpg





*** 속초 제우스호 예약 안내 ***


예약문의 : 010-9089-3104

오시는길 : 강원도 고성군 토성면 봉포해변길 118

모바일.gif 

Top